iFluor™ 488 Conjugated Goat anti-rabbit IgG polyclonal Antibody
概述
产品名称
iFluor™ 488 Conjugated Goat anti-rabbit IgG polyclonal Antibody
抗体类型
Goat Polyclonal Antibody
免疫原
Rabbit IgG (H+L).
产品特异性
To minimize cross-reactivity, the iFluor™ 488 conjugated goat anti-rabbit IgG (H+L) antibodies have been highly cross-adsorbed against human IgG and Mouse IgG.
种属反应性
Rabbit
验证应用
IF-Cell, IF-Tissue, FC, IHC-Fr, WB
偶联
iFluor™ 488
产品特性
形态
Liquid
存放说明
Store at +4℃ after thawing. Aliquot store at -20℃. Avoid repeated freeze / thaw cycles.
存储缓冲液
Preservative: 0.02% Sodium azide Constituents: 30% Glycerol, 1% BSA, 68.98% PBS
亚型
IgG
纯化方式
Immunogen affinity purified.
应用稀释度
-
IF-Cell
-
1:500-1:1,000
-
IF-Tissue
-
1:500-1:1,000
-
FC
-
1:500-1:1,000
-
IHC-Fr
-
1:500-1:1,000
-
WB
-
1:5,000
发表文章中的应用
| IF | 查看 60 篇文献如下 |
| WB | 查看 6 篇文献如下 |
| IF-cell | 查看 6 篇文献如下 |
| IF-Cell | 查看 2 篇文献如下 |
| FC | 查看 2 篇文献如下 |
| IHC-P | 查看 2 篇文献如下 |
| IF-tissue | 查看 2 篇文献如下 |
| IF tissue | 查看 1 篇文献如下 |
| mIHC | 查看 1 篇文献如下 |
发表文章中的种属
| Mouse | 查看 39 篇文献如下 |
| Human | 查看 22 篇文献如下 |
| Rat | 查看 10 篇文献如下 |
| Zebrafish | 查看 1 篇文献如下 |
| Silkworm | 查看 1 篇文献如下 |
| Plasmodium falciparum 3D7 | 查看 1 篇文献如下 |
| Shrimp | 查看 1 篇文献如下 |
靶点
功能
Whole IgG antibodies are isolated as intact molecules from antisera by immunoaffinity chromatography. They have an Fc portion and two antigen binding Fab portions joined together by disulfide bonds and therefore they are divalent. The average molecular weight is reported to be about 160 kDa. The whole IgG form of antibodies is suitable for the majority of immunodetection procedures and is the most cost effective. Although FITC is still the most popular fluorescent labeling dye for preparing green fluorescent bioconjugates, there are certain limitations with FITC, such as severe photobleaching for microscope imaging and pH-sensitive fluorescence. Protein conjugates prepared with iFluor™ 488 dyes are far superior compared to conjugates of fluorescein derivatives such as FITC. iFluor™ 488 conjugates are significantly brighter than fluorescein conjugates and are much more photostable. Additionally, the fluorescence of iFluor™ 488 is not affected by pH (4-10). This pH insensitivity is a major improvement over fluorescein, which emits its maximum fluorescence only at pH above 9. iFluor™ 488 SE dye is reasonably stable and shows good reactivity and selectivity with protein amino groups.
背景文献
暂无
图片
-
Immunofluorescence analysis of paraffin-embedded rat cerebellum tissue labeling NeuN (ET1602-12) and GFAP (EM140707).
The section was pre-treated using heat mediated antigen retrieval with sodium citrate buffer (pH 6.0) (high pressure) for 2 minutes. The tissues were blocked in 10% negative goat serum for 1 hour at room temperature, washed with PBS. And then probed with the primary antibodies NeuN (ET1602-12, green) at 1/50 dilution and GFAP (EM140707, red) at 1/500 dilution at +4℃ overnight, washed with PBS. Goat Anti-Rabbit IgG H&L (iFluor™ 488, HA1121) and Goat Anti-Mouse IgG H&L (iFluor™ 594, HA1126) were used as the secondary antibodies at 1/1,000 dilution. DAPI was used as nuclear counterstain. -
Immunocytochemistry analysis of HeLa cells labeling beta Actin with Rabbit anti-beta Actin antibody (HA722023) at 1/250 dilution.
Cells were fixed in 4% paraformaldehyde for 20 minutes at room temperature, permeabilized with 0.1% Triton X-100 in PBS for 5 minutes at room temperature, then blocked with 1% BSA in 10% negative goat serum for 1 hour at room temperature. Cells were then incubated with Rabbit anti-beta Actin antibody (HA722023) at 1/250 dilution in 1% BSA in PBST overnight at 4 ℃. Goat Anti-Rabbit IgG H&L (iFluor™ 488, HA1121) was used as the secondary antibody at 1/1,000 dilution. PBS instead of the primary antibody was used as the secondary antibody only control. Nuclear DNA was labelled in blue with DAPI. Beta tubulin (M1305-2, red) was stained at 1/100 dilution overnight at +4℃. Goat Anti-Mouse IgG H&L (iFluor™ 594, HA1126) was used as the secondary antibody at 1/1,000 dilution. -
Immunocytochemistry analysis of NIH/3T3 cells labeling beta Actin with Rabbit anti-beta Actin antibody (HA722023) at 1/100 dilution.
Cells were fixed in 4% paraformaldehyde for 20 minutes at room temperature, permeabilized with 0.1% Triton X-100 in PBS for 5 minutes at room temperature, then blocked with 1% BSA in 10% negative goat serum for 1 hour at room temperature. Cells were then incubated with Rabbit anti-beta Actin antibody (HA722023) at 1/100 dilution in 1% BSA in PBST overnight at 4 ℃. Goat Anti-Rabbit IgG H&L (iFluor™ 488, HA1121) was used as the secondary antibody at 1/1,000 dilution. PBS instead of the primary antibody was used as the secondary antibody only control. Nuclear DNA was labelled in blue with DAPI. Beta tubulin (M1305-2, red) was stained at 1/100 dilution overnight at +4℃. Goat Anti-Mouse IgG H&L (iFluor™ 594, HA1126) was used as the secondary antibody at 1/1,000 dilution. -
Immunocytochemistry analysis of L6 cells labeling beta Actin with Rabbit anti-beta Actin antibody (HA722023) at 1/100 dilution.
Cells were fixed in 4% paraformaldehyde for 20 minutes at room temperature, permeabilized with 0.1% Triton X-100 in PBS for 5 minutes at room temperature, then blocked with 1% BSA in 10% negative goat serum for 1 hour at room temperature. Cells were then incubated with Rabbit anti-beta Actin antibody (HA722023) at 1/100 dilution in 1% BSA in PBST overnight at 4 ℃. Goat Anti-Rabbit IgG H&L (iFluor™ 488, HA1121) was used as the secondary antibody at 1/1,000 dilution. PBS instead of the primary antibody was used as the secondary antibody only control. Nuclear DNA was labelled in blue with DAPI. Beta tubulin (M1305-2, red) was stained at 1/100 dilution overnight at +4℃. Goat Anti-Mouse IgG H&L (iFluor™ 594, HA1126) was used as the secondary antibody at 1/1,000 dilution. -
Flow cytometric analysis of HeLa cells labeling beta Actin.
Cells were fixed and permeabilized. Then stained with the primary antibody (HA722023, 1μg/mL) (red) compared with Rabbit IgG Isotype Control (green). After incubation of the primary antibody at +4℃ for an hour, the cells were stained with a iFluor™ 488 conjugate-Goat anti-Rabbit IgG Secondary antibody (HA1121) at 1/1,000 dilution for 30 minutes at +4℃. Unlabelled sample was used as a control (cells without incubation with primary antibody; black). -
Flow cytometric analysis of NIH/3T3 cells labeling beta Actin.
Cells were fixed and permeabilized. Then stained with the primary antibody (HA722023, 1μg/mL) (red) compared with Rabbit IgG Isotype Control (green). After incubation of the primary antibody at +4℃ for an hour, the cells were stained with a iFluor™ 488 conjugate-Goat anti-Rabbit IgG Secondary antibody (HA1121) at 1/1,000 dilution for 30 minutes at +4℃. Unlabelled sample was used as a control (cells without incubation with primary antibody; black). -
Flow cytometric analysis of C6 cells labeling beta Actin.
Cells were fixed and permeabilized. Then stained with the primary antibody (HA722023, 1μg/mL) (red) compared with Rabbit IgG Isotype Control (green). After incubation of the primary antibody at +4℃ for an hour, the cells were stained with a iFluor™ 488 conjugate-Goat anti-Rabbit IgG Secondary antibody (HA1121) at 1/1,000 dilution for 30 minutes at +4℃. Unlabelled sample was used as a control (cells without incubation with primary antibody; black). -
Western blot analysis of Goat Anti-Rabbit IgG - iFluor™ 488 Secondary Antibody (HA1121) at 1/5,000 dilution.
Lane 1: MCF7 cell lysate (20 µg/Lane)
Lane 2: Jurkat cell lysate (20 µg/Lane)
Lane 3: Mouse testis tissue lysate (40 µg/Lane)
Lane 4: Rat heart tissue lysate (40 µg/Lane)
Exposure time: 2 seconds;
4-20% SDS-PAGE gel.
Proteins were transferred to a PVDF membrane and blocked with 5% NFDM/TBST for 1 hour at room temperature. The primary antibody (ET1605-56) at 1/20,000 dilution was used at room temperature for 2 hours. Goat Anti-Rabbit IgG - iFluor™ 488 Secondary Antibody (HA1121) at 1/5,000 dilution was used for 1 hour at room temperature.
请注意: All products are "FOR RESEARCH USE ONLY AND ARE NOT INTENDED FOR DIAGNOSTIC OR THERAPEUTIC USE"
引文
-
NRF2 nuclear translocation and interaction with DUSP1 regulate the osteogenic differentiation of murine mandibular osteoblasts stimulated with Porphyromonas gingivalis lipopolysaccharide
Author: Zhongxiu WANG
PMID: 40987556
期刊: Journal of Zhejiang University-SCIENCE B
应用: IF
反应种属: Mouse
发表时间: 2025 Sept
-
Citation
-
LepR+ Fibroblasts Activated by BMP Signaling Promote Bone Resorption in Developmental Odontogenic Cysts
Author: Chongyun Bao
PMID: 40946915
期刊: Laboratory Investigation
应用: IF,FC
反应种属: Human
发表时间: 2025 Sept
-
Citation
-
Transcription factor 25 modulates gametocytogenesis and ribosome biogenesis in the malaria parasite Plasmodium falciparum
Author: Jing Wu, Zuping Zhang, Chandara Ngim, Wenyu Yang, Peiyi Li, Fei Wang, Jingru Ye, Bo Li, Bin Tian, Qingfeng Zhang, Xiaomin Shang
PMID: 41210950
期刊: Frontiers In Cellular And Infection Microbiology
应用: IF-cell
反应种属: Plasmodium falciparum 3D7
发表时间: 2025 Oct
-
Citation
-
Exosomes miR-369-3p Alleviates Early Brain Injury After Subarachnoid Hemorrhage by Promoting Ferroptosis of M1 Microglia via Inhibiting iNOS/GPX4 Axis
Author: Jian Fang, Feiyun Qin, Pengcheng Xu, Xintong Zhao, Zihuan Zhang, Dayong Xia, Jiaqiang Liu, Jiajia Yu, Liying Hu, Yuchen Wang, Zhenbao Li, Niansheng Lai
PMID: 41076547
期刊: Brain and Behavior
应用: IF-cell
反应种属: Mouse
发表时间: 2025 Oct
-
Citation
-
Esketamine relieves depressive-like behaviors in MPTP-induced Parkinson disease mice via GPR109A-dependent reduction of neuroinflammation
Author: Shu Wang, Wei Song, Yuanyuan Gao, Wei Tan, Lin Ji, Chen Wang
PMID: 41135741
期刊: Brain Research Bulletin
应用: IF tissue
反应种属: Mouse
发表时间: 2025 Oct
-
Citation
-
GelMA Hydrogel Encapsulating iPSC-Derived Human Spinal Cord Organoids Enhances Neural Regeneration and Restores Motor Function in Rat Spinal Cord Injury
Author: Yiheng Li, Yifan Gu, Ziru Wang, Yicong Wang, Shuai Jiang, Kun Wang, Yu Zheng, Run Feng, Min Yang
PMID: 41051068
期刊: Journal Of Biomedical Materials Research Part A
应用: IF
反应种属: Rat,Human
发表时间: 2025 Oct
-
Citation
-
Multifunctional Inorganic-Nanosheets-Based Nanohydrogel for Periodontal Bone Regeneration via Antibacterial and Anti-Ferroptotic Immunomodulation
Author: Xuechun Yuan, Shangyou Wen, Haixing Shi, Yaoyao Luo, Shuangcheng Wang, Zhongshan He, Xiangrong Song, Hu Long
PMID: 10.1021/acsami.5c15944
期刊: ACS Applied Materials & Interfaces
应用: mIHC
反应种属: Mouse
发表时间: 2025 Nov
-
Citation
-
Single-nucleus RNA sequencing illuminates a functional analog of lymphoid organ in crustacean
Author: Mingzhe Sun, Shihao Li, Yuan Liu, Fuhua Li
PMID: 10.1016/j.jare.2025.11.018
期刊: Journal Of Advanced Research
应用: IF-tissue
反应种属: Shrimp
发表时间: 2025 Nov
-
Citation
-
Single-cell characterization of trophoblast-epithelial interactions at the human maternal-fetal interface during early implantation
Author: Xu Suming, Wang Shimin, Wang Yaoqin, Bi Xingyu, Zhu Pengfei, Wang Yonglian, Wang Xianping, Wu Xueqing
PMID: 10.1093/biolre/ioaf246
期刊: Biology Of Reproduction
应用: IF-tissue
反应种属: Human
发表时间: 2025 Nov
-
Citation
-
20-Hydroxyecdysone Modulates Bmp53-Mediated Apoptosis Regulation by Suppressing Mdm2-like-Dependent Ubiquitination in Silkworm, Bombyx mori
Author: Meixian Wang, Dingding Han, Luyang Xiang, Jiahao Wang, Benteng Luo, Xingjia Shen
PMID: 40429257
期刊: Insects
应用: IF
反应种属: Silkworm
发表时间: 2025 May
-
Citation
-
Pro-Atherosclerotic Effects of Osteopontin Is Contributed to Promoting Foam Cell Formation Derived From VSMCs by Inhibiting Cholesterol Efflux
Author: Wentao Liu, Yuan Wang, Chen Liu, Bowei Shi, Xiaowei Xiong, Sheng Chen, Qianqian Huang, Li Wang, Guohua Zeng, Qiren Huang
PMID: 40332823
期刊: FASEB Journal
应用: IF
反应种属: Mouse
发表时间: 2025 May
-
Citation
-
Dihydromyricetin attenuates intervertebral disc degeneration by inhibiting NLRP3 inflammasome activation via the Keap1/Nrf2/HO-1 pathway
Author: Hainan Hong, Di Guo, Tao Xia, Yuhang Zhang
PMID: 40058758
期刊: European Journal Of Pharmacology
应用: IF-cell
反应种属: Rat
发表时间: 2025 Mar
-
Citation
-
Cannabinoid Receptor-2 Alleviates Sepsis-Induced Neuroinflammation by Modulating Microglia M1/M2 Subset Polarization Through Inhibiting Nogo-B Expression
Author: Chen Shuxian, Li Zhen, Yang Liu, Xu Zujin, Liu Anpeng, He Qianwen, Xiao Fei, Zhan Jia
PMID: 40102346
期刊: Molecular Neurobiology
应用: IF-cell
反应种属: Mouse
发表时间: 2025 Mar
-
Citation
-
Tabersonine ameliorates depressive-like behavior by inhibiting NLRP3 inflammasome activation in a mouse model
Author: Yan Shi, Yue Hu, Yaoxue Gan, Zhaoyu Mi, Shuting Luo, Jia Lei, Qian Fang, Haoyu Li
PMID: 40147640
期刊: Neuropharmacology
应用: IF
反应种属: Mouse
发表时间: 2025 Mar
-
Citation
-
Double Cross-Linked Hydrogel for Intra-articular Injection as Modality for Macrophages Metabolic Reprogramming and Therapy of Rheumatoid Arthritis
Author: Yutong Song, Valentin A. Milichko, Ziqiao Ding, Wen Li, Bei Kang, Yunsheng Dou, Sona Krizkova, Zbynek Heger, Nan Li
PMID: 8NOPMID25050701
期刊: Advanced Functional Materials
应用: IF
反应种属: Mouse
发表时间: 2025 Mar
-
Citation
-
Parvalbumin and Somatostatin Neurons in the Thalamic Reticular Nucleus Modulate Visual Information Processing in V1 of Mouse
Author: Bu Jiamin, Xu Guangwei, Zhou Yifeng
PMID: 40690155
期刊: Neuroscience Bulletin
应用: IF
反应种属: Mouse
发表时间: 2025 Jul
-
Citation
-
Advanced Dynamic Slurry Circulation System for Precision 3D Bioprinting of Osteogenic Ceramics: Enhanced Stability, Mechanical Performance Optimization, and In Vitro Bioactivity Validation
Author: Jialin He, Mengli Xie, Siwei Luo, Geng Tang, Zihao Zou, Jianxiang Teng, Baoping Zhao, Dongbing Cui, Tianqi Zhou, Long Yang, Chuan Ye
PMID: 40787339
期刊: ACS Omega
应用: IF
反应种属: Mouse
发表时间: 2025 Jul
-
Citation
-
Long noncoding RNA GCH1 mediates mitophagy via the PTEN-induced kinase 1/Parkin pathway to drive chondrocyte dysfunction and cartilage degeneration in osteoarthritis
Author: Gang Zeng, Yujun Sun, Taihe Liu, Wenzhou Liu, Yanbo Chen, Jionglin Wu, Jiayuan Zheng, Weidong Song, Yue Ding
PMID: 40634791
期刊: Animal Models And Experimental Medicine
应用: IF
反应种属: Human
发表时间: 2025 Jul
-
Citation
-
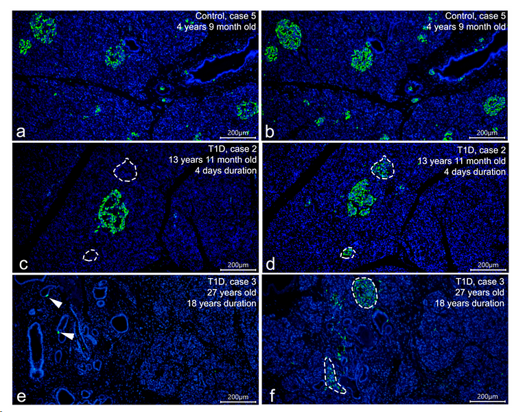
Detection of Insulin in Insulin-Deficient Islets of Patients with Type 1 Diabetes
Author: Yuliya Krivova, Alexandra Proshchina, Dmitry Otlyga, Anastasia Kharlamova, Sergey Saveliev
PMID: 39860066
期刊: Life-Basel
应用: IF
反应种属: Human
发表时间: 2025 Jan
-
Citation
-
Therapeutic Potential of Vanillic Acid in Ulcerative Colitis Through Microbiota and Macrophage Modulation
Author: Hu Zhao, Xingxing Fu, Yaru Wang, Zhao Shang, BangHua Li, Li Zhou, Yue Liu, Dan Liu, Bo Yi
PMID: 39812000
期刊: Molecular Nutrition & Food Research
应用: IF
反应种属: Mouse
发表时间: 2025 Jan
-
Citation
-
Distribution of Prohormone Convertase 1/3 in β and α Cells of the Human Fetal Pancreas at Gestational Weeks 8-20
Author: Krivova Yu. S., Proshchina A. E., Godovalova O. S., Otlyga E. G., Saveliev S. V.
PMID: 40884625
期刊: Bulletin Of Experimental Biology And Medicine
应用: IF
反应种属: Human
发表时间: 2025 Aug
-
Citation
-
A hydrogel/P(VDF-TrFE) system for enhanced bone regeneration with controllable self-sustained electrical cues
Author: Qin Luo, Kepeng Hu, Haoqing Liu, Xiyue Duan, Wen Chen, Xiaoyi Chen, Xiaojun Long, Weiming Lin, Chengwei Wu, Zhangfa Song, Chengyun Ning, Wenjian Weng, Kui Cheng
PMID: 40902369
期刊: Biomaterials Advances
应用: IF
反应种属: Mouse
发表时间: 2025 Aug
-
Citation
-
Sanren decoction ameliorates ulcerative colitis by modulating gut microbiota and macrophage polarization to enhance intestinal barrier function
Author: Zhang Shujuan, Li BangHua, Han Xiaoqun, Ruan LinLin, Fu Xingxing, Chen Yanglin, Wan Hongtao, Zhu Xiaojian, Liu Dan, Yi Bo
PMID: 40836347
期刊: Chinese Medicine
应用: IF
反应种属: Mouse
发表时间: 2025 Aug
-
Citation
-
Triple-phase VPA administration in Sprague-Dawley rats: A cost-effective ASD model unveiling the synaptic-mitochondrial-inflammatory axis as a therapeutic target
Author: Zhaoming Liu, Caixia Wu, Zuoxian Lin, Heying Li, Yujie Liu, Nouman Amjad, Muhammad Majid, Rajesh Basnet, Zhiyuan Li
PMID: 40812671
期刊: Life Sciences
应用: IF
反应种属: Rat
发表时间: 2025 Aug
-
Citation
-
PDZK1 Protects Against RPE Senescence by Targeting the 14-3-3ε-mTOR Axis to Attenuate Early Diabetic Retinopathy
Author: Jian Zhao, Junbiao Zhang, Yanli Liu, Lili Wang, Chunxi Huang, Wei Chi, Meixia An
PMID: 40853330
期刊: Advanced Science
应用: IF
反应种属: Mouse,Human
发表时间: 2025 Aug
-
Citation
-
Both subcutaneous semaglutide and calorie restriction improves pancreatic cell hyperplasia and gut microbiota in high-fat diet-induced obese mice
Author: Luo Yunfei, Yang Shiqi, Zeng Haixia, Liu Shuang, Zhang Yuying, Li Jin-E, Liu Jianping
PMID: 40775354
期刊: Nutrition & Metabolism
应用: IF
反应种属: Mouse
发表时间: 2025 Aug
-
Citation
-
HDAC6/Trim21 aggravates macrophage inflammatory response and titanium-induced osteolysis via GSDMD signaling pathway
Author: Chen Junxi, Liu Taihe, Luo Jiankai, Chen Zhipeng, Yu Yifan, Sun Haopeng, Tan Muyun, Sun Yujun, Li Shixun, Li Changchuan, Ding Yue
PMID: 40751445
期刊: Journal Of Immunology
应用: WB
反应种属: Mouse
发表时间: 2025 Aug
-
Citation
-
Cepharantine prevents hypertrophic scarring by regulating the TGF-β/SMAD pathway
Author: Liu Chenhuan, Yu Qin, Shen Lingyan, Wen Xiaoyan, lian Juan, Wang Jiani, Yang Jin, Chen Lin
PMID: 40274641
期刊: Archives Of Dermatological Research
应用: WB
反应种属: Mouse
发表时间: 2025 Apr
-
Citation
-
DCI improves diabetic encephalopathy by modulating the BDNF/NF-κB/GSK-3β pathway
Author: Haizhu Zhang, Xiao Han, Zhuoting Zhu, Gengyin Wang, Xinyu Sun, Shuang Li, Yirong Liu, Yuxin Zhang, Linghuan Gao
PMID: 40187477
期刊: Experimental Neurology
应用: IF
反应种属: Mouse
发表时间: 2025 Apr
-
Citation
-
Mannose modified graphene oxide drug-delivery system targets cancer stem cells and tumor-associated macrophages to promote immunotherapeutic efficacy
Author: Jiapu Wang, Ziwei Liang, Yuhui Wang, Qi Liu, Shaojie Wang, Jie Wang, Ruxin Duan, Liqin Zhao, Yan Wei, Di Huang
PMID: 40286606
期刊: Colloids And Surfaces B: Biointerfaces
应用: IF
反应种属: Mouse
发表时间: 2025 Apr
-
Citation
-
Resveratrol—A Herbal Immunomodulator, Ameliorates Experimental Autoimmune Myasthenia Gravis by Regulating the Foxo1-Foxp3 Pathway
Author: Heyun Cheng, Yunan Shan, Xiaoyue Shen, Yanbin Li
PMID: 40262044
期刊: Journal Of Biochemical And Molecular Toxicology
应用: IF
反应种属: Human
发表时间: 2025 Apr
-
Citation
-
USP24 promotes hepatocellular carcinoma progression by deubiquitinating and stabilizing YAP1
Author: Shan Huizhuang, Yuan Jiaguo, Xian Luhua, Li Wenmin, Ge Yanfen, Zhang Lei, Lin Ting, Lan Mingwei, Liu Junru, Luo Yanfei, Wu Yingli, Xiao Xinhua
PMID: 40287768
期刊: Cancer Cell International
应用: IF
反应种属: Human
发表时间: 2025 Apr
-
Citation
-
SLC26A4 C.317C > A Variant: Functional Analysis and Patient-Derived Induced Pluripotent Stem Line Development
Author: Yijing Li, Tao Sun, Sang Hu, Hongen Xu, Teng Zhang, Jinlong Liu, Shuangshuang Lu, Bing Wang, Guo Dan
PMID: 40260864
期刊: Molecular Genetics & Genomic Medicine
应用: IF
反应种属: Human
发表时间: 2025 Apr
-
Citation
-
Mulberry Leaf Extract and Deoxynojirimycin Modulates Glucose and Lipid Levels via the IRS1/PI3K/AKT Signaling Pathway in Cells
Author: Yin-Di Zhang, Jun-Xi Liu, Fei-Fei Wang, Li-Ping Qu
PMID: 19NOPMID25052901
期刊: Journal Of Food Biochemistry
应用: IF
反应种属: Human,Mouse
发表时间: 2025 Apr
-
Citation
-
DL-3-n-butylphthalide inhibits astrocyte activation in the cortical penumbra of ischemia-reperfusion model rats via AKT signaling
Author: Yiwen Yu, Tinghong Wang, Qiuling Li, Hao Zhao, Biao Li, Dong Lei, Fei Dong, Yu Xiao, Shan Wang, Yifei Ji
PMID: 40185418
期刊: Brain Research Bulletin
应用: IF
反应种属: Rat
发表时间: 2025 Apr
-
Citation
-
Poria cocos Polysaccharide Reshapes Gut Microbiota to Regulate Short-Chain Fatty Acids and Alleviate Neuroinflammation-Related Cognitive Impairment in Alzheimer’s Disease
Author: Meiying Song, Shanshan Zhang, Yuxin Gan, Tao Ding, Zhu Li, Xiang Fan
PMID: 40254847
期刊: Journal Of Agricultural And Food Chemistry
应用: IF
反应种属: Mouse
发表时间: 2025 Apr
-
Citation
-
Oncolytic adenovirus H101 enhances the anti-tumor effects of PD-1 blockade via CD47 downregulation in tumor cells
Author: CHENXIAO QIAO, YIPENG XU, YEDIE HE, ZHIJIAN CAI, HUA WANG
PMID: 40296909
期刊: Oncology Research
应用: IF
反应种属: Mouse
发表时间: 2025 Apr
-
Citation
-
Targeting UAF1 Alleviate Neurotoxicity by Inhibiting APP/NLRP3 Axis-Mediated Pyroptosis and Apoptosis
Author: Cheng Ling, Meng Xianguang, Tian Dandan, Zheng Bin, Xiao Yinfan, Zhao Xueying, Xu Yingying, Yang Hui, Bi Jianzhong, Li Fan, Xie Zhaohong
PMID: 40183841
期刊: Neurochemical Research
应用: IF
反应种属: Mouse
发表时间: 2025 Apr
-
Citation
-
A chemical screen identifies PRMT5 as a therapeutic vulnerability for paclitaxel-resistant triple-negative breast cancer
Author: KeJing Zhang, Juan Wei, SheYu Zhang, Liyan Fei, Lu Guo, Xueying Liu, YiShuai Ji, WenJun Chen, Felipe E. Ciamponi, WeiChang Chen, MengXi Li, Jie Zhai, Ting Fu, Katlin B. Massirer, Yang Yu, Mathieu Lupien, Yong Wei, Cheryl. H. Arrowsmith, Qin Wu, WeiHong Tan
PMID: 39232499
期刊: Cell Chemical Biology
应用: IF
反应种属: Human
发表时间: 2024 Sept
-
Citation
-
Quercetin inhibited LPS-induced cytokine storm by interacting with the AKT1-FoxO1 and Keap1-Nrf2 signaling pathway in macrophages
Author: Xu Jingyi, Li Yue, Yang Xi, Li Hong, Xiao Xi, You Jia, Li Huawei, Zheng Lingnan, Yi Cheng, Li Zhaojun, Huang Ying
PMID: 39245773
期刊: Scientific Reports
应用: IF
反应种属:
发表时间: 2024 Sept
-
Citation
-
Diacetoxy-6-gingerdiol protects the extracellular matrix of nucleus pulposus cells and ameliorates intervertebral disc degeneration by inhibiting the IL-1β-mediated NLRP3 pathway.
Author: Huifeng Xi,et al
PMID: 39568855
期刊: Heliyon
应用: IF
反应种属:
发表时间: 2024 Sep
-
Citation
-
Mutation of the SUMOylation site of Aurora-B disrupts spindle formation and chromosome alignment in oocytes
Author: Shan-Shan Chen,et al
PMID: 39438456
期刊: Nature
应用: IF
反应种属: Human
发表时间: 2024 Oct
-
Citation
-
SENP1 prevents high fat diet-induced non-alcoholic fatty liver diseases by regulating mitochondrial dynamics
Author: Wenjing Zeng,et al
PMID: 39332783
期刊: Biochimica Et Biophysica Acta-Molecular Basis Of Disease
应用: IF
反应种属: Mouse
发表时间: 2024 Oct
-
Citation
-
Transcriptomics of tissue exosomes to investigate miR-195-5p's amelioration of endometrial fibrosis via the YAP-Smad7 pathway: an animal study
Author: Jia-Ming Chen,et al
PMID: 39574130
期刊: Journal Of Translational Medicine
应用: IF
反应种属: Rat
发表时间: 2024 Nov
-
Citation
-
The Effect of Caffeine Exposure on Sleep Patterns in Zebrafish Larvae and Its Underlying Mechanism
Author: Yuanzheng Wei, Zongyu Miao, Huixin Ye, Meihui Wu, Xinru Wei, Yu Zhang, Lei Cai
PMID: 39584977
期刊: Clocks & Sleep
应用: IHC-P
反应种属: Zebrafish
发表时间: 2024 Nov
-
Citation
-
NPR1 promotes cisplatin resistance by inhibiting PARL-mediated mitophagy-dependent ferroptosis in gastric cancer
Author: Chengwei Wu,et al
PMID: 39476297
期刊: Cell Biology And Toxicology
应用: WB
反应种属: Mouse
发表时间: 2024 Nov
-
Citation
-
Proton pump inhibitors enhance macropinocytosis-mediated extracellular vesicle endocytosis by inducing membrane v-ATPase assembly
Author: Xinliang Lu, Zhengbo Song, Jiayue Hao, Xianghui Kong, Weiyi Yuan, Yingying Shen, Chengyan Zhang, Jie Yang, Pengfei Yu, Yun Qian, Gensheng Zhang, Huajun Feng, Jianli Wang, Zhenzhai Cai, Zhijian Cai
PMID: 38532609
期刊: Journal Of Extracellular Vesicles
应用: IF
反应种属:
发表时间: 2024 Mar
-
Citation
-
SORBS1 inhibits epithelial to mesenchymal transition (EMT) of breast cancer cells by regulating PI3K/AKT signaling and macrophage phenotypic polarization
Author: Kai Feng, Ya Di, Meng Han, Weitao Yan, Yimin Wang
PMID: 38451194
期刊: Aging-Us
应用: IF
反应种属:
发表时间: 2024 Mar
-
Citation
-
Optical Fiber-Enabled In Situ Photocatalytic Hydrogen Generation for Infiltrating Tumor Therapy in Brain
Author: Hang Zhang, Shujuan Guan, Lei Wang, Min Zhang, Zhaoyin Wang, Zhihui Dai
PMID: 38885531
期刊: Advanced Healthcare Materials
应用: IF
反应种属: Human
发表时间: 2024 Jun
-
Citation
-
“Golgi-customized Trojan horse” nanodiamonds impair GLUT1 plasma membrane localization and inhibit tumor glycolysis
Author: Bei Kang, Haobo Wang, Huaqing Jing, Yunsheng Dou, Sona Krizkova, Zbynek Heger, Vojtech Adam, Nan Li
PMID: 38789089
期刊: Journal Of Controlled Release
应用: IF
反应种属: Mouse
发表时间: 2024 Jun
-
Citation
-
CPEB1 Controls NRF2 Proteostasis and Ferroptosis Susceptibility in Pancreatic Cancer
Author: Zhang Shuxia,et al
PMID: 38904009
期刊: International Journal Of Biological Sciences
应用: IF
反应种属:
发表时间: 2024 Jun
-
Citation
-
Crosstalk between cancer-associated fibroblasts and myeloid cells shape the heterogeneous microenvironment of gastric cancer
Author: Peng Zhiwei,et al
PMID: 39323622
期刊: Current Genomics
应用: IF
反应种属: Human
发表时间: 2024 Jul
-
Citation
-
IKIP downregulates THBS1/FAK signaling to suppress migration and invasion by glioblastoma cells
Author: Zhu Zhaoying,et al
PMID: 38948026
期刊: Oncology Research
应用: IF
反应种属:
发表时间: 2024 Jul
-
Citation
-
The ANGPTL4-HIF-1α loop: a critical regulator of renal interstitial fibrosis
Author: Li Yan,et al
PMID: 38992710
期刊: Journal Of Translational Medicine
应用: IF
反应种属:
发表时间: 2024 Jul
-
Citation
-
Extracellular vesicles from alveolar macrophages harboring phagocytosed methicillin-resistant Staphylococcus aureus induce necroptosis
Author: Bai Songjie,et al
PMID: 38985677
期刊: Cell Reports
应用: IF
反应种属:
发表时间: 2024 Jul
-
Citation
-
Capsaicin Attenuates LPS-Induced Acute Lung Injury by Inhibiting Inflammation and Autophagy Through Regulation of the TRPV1/AKT Pathway
Author: Hu Qin,et al
PMID: 38223422
期刊: Journal Of Inflammation Research
应用: IF
反应种属: Human
发表时间: 2024 Jan
-
Citation
-
Comparison of the immune response and protection against the experimental Toxoplasma gondii infection elicited by immunization with the recombinant proteins BAG1, ROP8, and BAG1-ROP8
Author: Xing Yien,et al
PMID: 38372452
期刊: Parasite Immunology
应用: IF
反应种属: Mouse
发表时间: 2024 Feb
-
Citation
-
METTL14-mediated m6A epitranscriptomic modification contributes to chemotherapy-induced neuropathic pain by stabilizing GluN2A expression via IGF2BP2
Author: Lu Weicheng,et al
PMID: 38319733
期刊: Journal Of Clinical Investigation
应用: IF
反应种属: Rat
发表时间: 2024 Feb
-
Citation
-
Bisdemethoxycurcumin, a curcumin, protects chondrocytes, and reduces cartilage inflammation via the NRF2/HO-1/NLRP3 pathway.
Author: Gang Jin, Wei Xu, Huilin Tang, Yaying Cui, Han Zhang
PMID: 38411358
期刊: Immunity Inflammation And Disease
应用: IF
反应种属: Mouse
发表时间: 2024 Feb
-
Citation
-
A cross-sectional and longitudinal integrated study on brain functional changes in a neuropathic pain rat model
Author: Chi Xintian,et al
PMID: 38346901
期刊: eNeuro
应用: IF
反应种属: Rat
发表时间: 2024 Feb
-
Citation
-
High Intensity Focused Ultrasound-Driven Nanomotor for Effective Ferroptosis-Immunotherapy of TNBC
Author: Xiangrong Yu, Xuejing Li, Qingwang Chen, Siyu Wang, Ruizhe Xu, Ying He, Xifeng Qin, Jun Zhang, Wuli Yang, Leming Shi, Ligong Lu, Yuanting Zheng, Zhiqing Pang, Shaojun Peng
PMID: 38342612
期刊: Advanced Science
应用: FC
反应种属: Mouse
发表时间: 2024 Feb
-
Citation
-
Maresin1 Inhibits Ferroptosis via the Nrf2/SLC7A11/GPX4 Pathway to Protect Against Sepsis-Induced Acute Liver Injury
Author: Yongjing Guo,et al
PMID: 39691306
期刊: Journal Of Inflammation Research
应用: WB
反应种属: Mouse
发表时间: 2024 Dec
-
Citation
-
Semaglutide alleviates the pancreatic β cell function via the METTL14 signaling and modulating gut microbiota in type 2 diabetes mellitus mice
Author: Jianping Liu,et al
PMID: 39719165
期刊: Life Sciences
应用: IF
反应种属: Mouse
发表时间: 2024 Dec
-
Citation
-
CD7‐targeting pro‐apoptotic extracellular vesicles: A novel approach for T‐cell haematological malignancy therapy
Author: Bei Zhang, Jianqiang Chen, Jiming Chen, Yingying Shen, Yinghu Chen, Shibo Wang, Chengyan Zhang, Yuzhou He, Huajun Feng, Jiaoli Wang, Zhijian Cai
PMID: 39676736
期刊: Journal Of Extracellular Vesicles
应用: IF
反应种属:
发表时间: 2024 Dec
-
Citation
-
Tomatidine Alleviates Intervertebral Disc Degeneration by Activating the Nrf2/HO-1/GPX4 Signaling Pathway
Author: Ze Li,et al
PMID: NOPMID24123106
期刊: Drug Design Development And Therapy
应用: WB
反应种属: Rat
发表时间: 2024 Dec
-
Citation
-
Geniposide modulates GSK3β to inhibit Th17 differentiation and mitigate endothelial damage in intracranial aneurysm
Author: Qian Zhang, Lu-Feng Shi, Run-Dong Chen, He-He Zhao, Cong Yu, Yi-Rong Wang, Peng Lu
PMID: 39180344
期刊: Phytotherapy Research
应用: IF
反应种属: Mouse
发表时间: 2024 Aug
-
Citation
-
Rapamycin Attenuates H2O2-Induced Oxidative Stress-Related Senescence in Human Skin Fibroblasts
Author: Tang Yuyang, Yang Sen, Qiu Zhen, Guan Li, Wang Yigui, Li Guixin, Tu Yuanyu, Guo Lijuan
PMID: 39093548
期刊: Tissue Engineering And Regenerative Medicine
应用:
反应种属:
发表时间: 2024 Aug
-
Citation
-
α5-nAChR/STAT3/CD47 axis contributed to nicotine-related lung adenocarcinoma progression and immune escape
Author:
PMID: 37681453
期刊: Carcinogenesis
应用: IF-cell
反应种属: Human
发表时间: 2023 Sept
-
Citation
-
Pen Yan Jing Tablets Alleviates Pelvic Inflammatory Disease by Inhibiting Akt/NF-κB Pathway
Author: Ping Tang, Qi Ding, Juan Lin, Xinrong Yang, Yiting Wang, Fangle Liu, Yuying Zheng, Liuqing Lin, Deqin Wang, Baoqin Lin
PMID: 37790843
期刊: International Journal Of Medical Sciences
应用: IHC-P,IF
反应种属: Rat
发表时间: 2023 Sept
-
Citation
-
Ferritin was involved in interleukin-17A enhanced osteogenesis through autophagy activation
Author: Wenlin Yuan, Yuting Yang, Yingming Wei, Xufei Yu, Jiaqi Bao, Jiahui Zhong, Zhongxiu Wang, Lili Chen
PMID: 37713787
期刊: International Immunopharmacology
应用: IF
反应种属:
发表时间: 2023 Sept
-
Citation
-
Activation of the PERK-CHOP signaling pathway during endoplasmic reticulum stress contributes to olanzapine-induced dyslipidemia
Author:
PMID: 37880338
期刊: Acta Pharmacologica Sinica
应用: IF
反应种属: Mouse
发表时间: 2023 Oct
-
Citation
-
URP20 improves corneal injury caused by alkali burns combined with pathogenic bacterial infection in rats
Author: Gong Y, Gao J, Li M, Zhang XL, Liao YH, Bao YB
PMID: 38042515
期刊: Experimental Eye Research
应用: IF
反应种属: Rat
发表时间: 2023 Nov
-
Citation
-
Carboxylated Pocoa polysaccharides inhibited oxidative damage and inflammation of HK-2 cells induced by calcium oxalate nanoparticles
Author: Peng Xiong, Yu-Yun Zheng, Jian-Ming Ouyang
PMID: 37972469
期刊: Biomedicine & Pharmacotherapy
应用: IF
反应种属: Human
发表时间: 2023 Nov
-
Citation
-
PD0325901, an ERK inhibitor, attenuates RANKL-induced osteoclast formation and mitigates cartilage inflammation by inhibiting the NF-κB and MAPK pathways
Author:
PMID: 36642020
期刊: Bioorganic Chemistry
应用: WB
反应种属: Mouse
发表时间: 2023 Mar
-
Citation
-
Construction of Microfluidic Chip Structure for Cell Migration Studies in Bioactive Ceramics
Author: Ye, S., Cao, Q., Ni, P., Xiong, S., Zhong, M., Yuan, T., Shan, J., Liang, J., Fan, Y., & Zhang, X.
PMID: 37282789
期刊: Small
应用: IF
反应种属: Mouse
发表时间: 2023 Jun
-
Citation
-
Parthenolide alleviates microglia‐mediated neuroinflammation via MAPK/TRIM31/NLRP3 signaling to ameliorate cognitive disorder
Author:
PMID: 37182449
期刊: International Immunopharmacology
应用: IF
反应种属: Human,Mouse
发表时间: 2023 Jul
-
Citation
-
Effects of matrix viscoelasticity on cell–matrix interaction, actin cytoskeleton organization, and apoptosis of osteosarcoma MG-63 cells
Author: Deng Huan,et al
PMID: 38079114
期刊: Journal Of Materials Chemistry B
应用: IF-Cell
反应种属: Human
发表时间: 2023 Dec
-
Citation
-
Matrix Stiffness Regulated Endoplasmic Reticulum Stress-mediated Apoptosis of Osteosarcoma Cell through Ras Signal Cascades
Author: Deng Huan,et al
PMID: 37789235
期刊: Cell Biochemistry And Biophysics
应用: IF-Cell
反应种属: Human,Mouse
发表时间: 2023 Dec
-
Citation
-
AIM2 inflammasome activation benefits the therapeutic effect of BCG in bladder carcinoma
Author: Zhou, H., Zhang, L., Luo, W., Hong, H., Tang, D., Zhou, D., Zhou, L., & Li, Y.
PMID: 36386141
期刊: Frontiers In Pharmacology
应用: IF-cell
反应种属: Mouse
发表时间: 2022 Oct
-
Citation
-
Inducible co-stimulator inhibits lipid phagocytosis of human aortic smooth muscle cells by down-regulating CD36 expression
Author: Liang, M., Guo, X., Wu, H., & Zhong, Z.
PMID: 35242376
期刊: Journal Of Thoracic Disease
应用: IF
反应种属: Human
发表时间: 2022 Jan
-
Citation
-
Nucleoporin 85 interacts with influenza A virus PB1 and PB2 to promote its replication by facilitating nuclear import of ribonucleoprotein
Author: Ling, Y. H., Wang, H., Han, M. Q., Wang, D., Hu, Y. X., Zhou, K., & Li, Y.
PMID: 36051755
期刊: Frontiers In Microbiology
应用: IF
反应种属:
发表时间: 2022 Aug
-
Citation
-
AZ-628 delays osteoarthritis progression via inhibiting the TNF-α-induced chondrocyte necroptosis and regulating osteoclast formation
Author: Gong, Y., Qiu, J., Ye, J., Jiang, T., Zhang, W., Zheng, X., Zhu, Z., Chen, L., Wang, Z., Mi, S., & Hong, Z.
PMID: 35952515
期刊: International Immunopharmacology
应用:
反应种属: Mouse
发表时间: 2022 Aug
-
Citation